Local Service Overview

Get Black Ant Extermination in Red Oak, TX

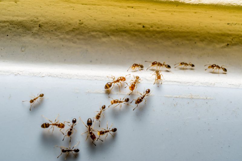
Black Ant Extermination services for property owners in Red Oak, TX, address ant infestations, prevent future invasions, and handle residential or commercial pest control projects.

Red Oak, TX

Black ant extermination services are a practical solution for property owners in Red Oak, TX seeking to maintain a comfortable and pest-free environment. Ant infestations can compromise safety and reduce the functionality of outdoor and indoor spaces, making professional removal essential for peace of mind. Effective extermination helps ensure that homes and businesses remain durable and protected from ongoing pest issues, minimizing the need for repeated treatments and ongoing maintenance.

Choosing professional black ant extermination can also enhance curb appeal by preventing unsightly ant mounds and trails from marring the appearance of a property. Proper pest control contributes to a safer, cleaner living or working space, allowing property owners to enjoy their surroundings without concern about ant-related disruptions. Engaging experienced service providers ensures that ant problems are addressed thoroughly and efficiently, supporting long-term comfort and property value.

Get Black Ant Extermination Quotes

  • Ant Extermination - needed when black ants invade kitchens, bathrooms, or outdoor areas in residential or commercial properties.
  • Indoor Ant Control - required when black ants are found nesting inside walls, cabinets, or other hidden areas.
  • Outdoor Ant Treatments - necessary to eliminate black ant colonies in lawns, gardens, or near building foundations.
  • Emergency Ant Removal - sought when black ant infestations suddenly become overwhelming or difficult to manage.
  • Pre-Construction Ant Prevention - useful for new constructions or renovations to prevent future black ant invasions.

Get Black Ant Extermination Quotes

Black Ant Extermination
Black Ant Extermination
Black Ant Extermination

Black ant extermination services focus on eliminating infestations of black ants from residential and commercial properties. These services typically involve thorough inspections to identify the extent of the ant problem and the specific areas where they are nesting or foraging. Professional exterminators often utilize targeted treatments, such as baiting systems and residual insecticides, to effectively control and eradicate black ant populations. The goal is to reduce or eliminate ant activity, preventing further invasions and minimizing the nuisance caused by these pests.

Black ants can pose various problems for property owners. They are known to invade kitchens, pantries, and other areas where food is stored, leading to contamination concerns. In some cases, black ants may also establish colonies indoors, causing structural or cosmetic issues. Their presence can be particularly bothersome in homes, restaurants, and food establishments, where sanitation is a priority. Additionally, large ant infestations can attract other pests or create an unsanitary environment, prompting property owners to seek professional extermination services to address the issue promptly.

The types of properties that commonly utilize black ant extermination services include single-family homes, apartment complexes, restaurants, and commercial buildings. Residential properties are frequently affected, especially during warmer months when ants are more active. Commercial properties involved in food handling or preparation often require regular pest control to maintain hygiene standards. Additionally, property managers and landlords may engage pest control providers to manage ant problems across multiple units or common areas, ensuring a pest-free environment for tenants and visitors.

Professional black ant extermination services are designed to provide long-term control and peace of mind for property owners. Local pest control providers employ various techniques tailored to the specific needs of each property, whether it’s a small residence or a larger commercial space. These services are intended to address existing infestations and help prevent future invasions by implementing targeted treatment plans. Contacting experienced pest control professionals can be an effective step toward managing black ant issues and maintaining a clean, pest-free property.

The overview below groups typical Black Ant Extermination projects into broad ranges so you can see how smaller, mid-sized, and larger jobs often compare in Red Oak, TX.

In many markets, a large share of routine jobs stays in the lower and middle ranges, while only a smaller percentage of projects moves into the highest bands when the work is more complex or site conditions are harder than average.

Initial Inspection - The cost for a black ant extermination inspection typically ranges from $100 to $250. This fee covers identifying the extent of the infestation and planning treatment options. Prices may vary based on the property's size and complexity.

One-Time Treatment - A single extermination service usually costs between $150 and $300. This includes application of targeted ant baits and insecticides to eliminate visible colonies and nests.

Ongoing Maintenance - Regular follow-up treatments can range from $50 to $150 per visit. Many service providers recommend periodic inspections and treatments to prevent future ant problems.

Integrated Pest Management - Comprehensive plans that include multiple visits and preventative measures typically cost between $200 and $500. This approach aims to control black ant populations over the long term with customized strategies.

Actual totals will depend on details like access to the work area, the scope of the project, and the materials selected, so use these as general starting points rather than exact figures.

Get a Black Ant Extermination Quote

Black Ant Extermination services are essential for removing infestations that can damage structures and create health concerns. Local pest control providers offer specialized treatments to eliminate black ant colonies effectively.

Black Ant Control solutions focus on identifying and targeting ant nests to prevent future invasions, helping to maintain a pest-free environment. Service providers in Red Oak, TX, and nearby areas can assist with tailored treatment plans.

Black Ant Removal involves the use of targeted methods to eradicate black ants from residential and commercial properties. Local exterminators can assess the extent of the infestation and recommend appropriate actions.

Ant Pest Management strategies include monitoring and ongoing treatments to keep black ants from returning. Professionals can implement integrated approaches suited to specific property needs.

Insect Extermination services encompass black ant control as part of broader pest management solutions, addressing multiple pest issues simultaneously. Contact local pros to explore effective options.

Ant Infestation Prevention advice from local experts can help property owners reduce the likelihood of future black ant problems through sanitation and structural adjustments. Reach out to specialists for guidance.

Black Ant Extermination

When choosing a professional for black ant extermination, it’s important to consider their experience in handling ant infestations, particularly those specific to the local environment in Red Oak, TX. A seasoned service provider will have a history of managing similar pest issues and can offer insights into effective treatment methods. Homeowners should inquire about the length of time a pro has been operating locally and their familiarity with common ant behaviors and habitats in the area to ensure they’re selecting a knowledgeable professional.

Clear communication about service expectations is essential when working with a pest control provider. Reputable local pros typically provide detailed information on the scope of work, the types of treatments used, and any necessary preparations or follow-up procedures. Homeowners should seek out providers who are transparent about their processes and willing to answer questions thoroughly, helping to establish a mutual understanding of what the extermination process entails and what results can reasonably be expected.

References and reputation can serve as valuable indicators of a service provider’s reliability and quality. Homeowners are encouraged to look for local pros with positive references from previous clients and a solid reputation within the community. While the information below introduces options for local ant extermination services, it’s recommended to verify references and reviews independently to ensure the selected professional has a track record of dependable service and effective pest management. Good communication and a strong reputation are often key factors in choosing a pest control provider that meets individual needs.

Get a Black Ant Extermination Quote

Property owners in Red Oak, TX use Black Ant Extermination services for practical projects around their homes and businesses. The sections below highlight everyday jobs and straightforward project options.

Black Ant Extermination
Black Ant Extermination

Black ant extermination services are commonly sought after by property owners in Red Oak, TX, who notice persistent ant activity around their homes or businesses. These insects can invade kitchens, bathrooms, and other areas, creating nuisances and potential sanitation concerns. Local service providers can help identify ant entry points and implement targeted treatment plans to reduce infestations effectively.

Property owners may also pursue ant control when they observe increased ant activity during warmer months or notice ant trails near foundations and outdoor structures. Regular pest management can help prevent larger colonies from establishing and protect the property's overall cleanliness and comfort. Connecting with local professionals ensures access to tailored solutions for ant-related issues in the Red Oak area.

Get a Black Ant Extermination Quote

Why are black ants attracted to my home? Black ants are drawn to food sources, water, and shelter within residential areas, which can lead them to invade homes in search of these essentials.

What signs indicate a black ant infestation? Common signs include visible ant trails, small piles of soil or debris near entry points, and the presence of ants inside the home, especially around kitchens and bathrooms.

How do professionals typically eliminate black ant colonies? Local pest control providers often use targeted treatments such as baits, sprays, and barrier methods to eliminate black ant colonies and prevent future infestations.

Are black ants able to cause damage to my property? While black ants do not usually cause structural damage, their presence can indicate moisture issues or attract other pests that may harm the home.

How can I prevent black ants from returning? Preventive measures include sealing entry points, maintaining cleanliness, removing food sources, and working with local pros for ongoing treatments if needed.

Black Ant Identification - Learn how to recognize black ants and understand their behaviors to assist in effective extermination.

Extermination Methods - Explore various approaches used by local service providers to eliminate black ant infestations safely and efficiently.

Preventive Tips - Discover strategies recommended by professionals to help prevent future black ant problems around your property.

Finding Local Experts - Get guidance on connecting with experienced pest control providers in Red Oak, TX, for effective black ant extermination services.

Black Ant Extermination

Considering Black Ant Extermination for a property in Red Oak, TX? The sections above highlight common project types, practical options, and details that often shape the scope of work.

When you are ready, use the quote form to share a few details about your project. Local pros can review the basics and respond with options that match what you have in mind.

Get a Black Ant Extermination Quote

Black Ant Extermination Quotes

Our Trusted Partners
Cantu Pest Control
Orkin
Hawx Pest Control