Local Service Overview

Get Ants Extermination Service in Waxahachie, TX

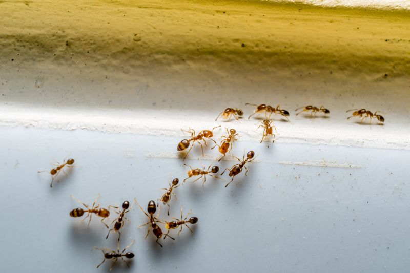
Ants extermination services for property owners in Waxahachie, TX, and nearby areas address ant infestations, prevent future invasions, and handle residential and commercial pest control projects.

Waxahachie, TX

Ants extermination services provide property owners in Waxahachie, TX with effective solutions to manage and eliminate ant infestations. Addressing these pests helps maintain a comfortable living and working environment by preventing the nuisance and potential damage caused by colonies. Additionally, professional extermination can enhance safety by reducing the risk of ants contaminating food or triggering allergies, ensuring the property remains a secure space for residents and visitors alike.

Choosing expert ant control services also offers benefits related to the durability and functionality of a property. By preventing ant activity, property owners can reduce long-term maintenance needs and avoid structural damage that ants may cause over time. Furthermore, a pest-free environment can improve curb appeal, making a property look well-maintained and inviting to visitors or potential buyers.

Get Ants Extermination Service Quotes

  • Ants Extermination - When ants invade kitchens or pantry areas, professional extermination services can eliminate the colony effectively.
  • Ants Extermination - Homes or businesses in densely populated neighborhoods may require ant control to prevent infestations from spreading.
  • Ants Extermination - If ants are nesting outdoors near foundations or landscaping, local pros can treat the perimeter to stop entry points.
  • Ants Extermination - During seasonal changes when ant activity increases, professional services can help manage larger swarms.
  • Ants Extermination - Commercial properties experiencing ant problems in common areas or storage spaces may benefit from targeted extermination treatments.

Get Ants Extermination Service Quotes

Ants Extermination Service
Ants Extermination Service
Ants Extermination Service

Ants extermination services involve the identification and elimination of ant colonies within a property. Professional pest control providers typically conduct thorough inspections to locate nests and determine the species involved. Treatment methods may include the application of targeted baits, insecticides, or barriers designed to eradicate existing ants and prevent future infestations. These services aim to address the root cause of ant problems, ensuring a comprehensive approach to pest management.

Ant infestations can create numerous issues for property owners. Aside from the nuisance of constant crawling and foraging activity, ants can cause structural damage by nesting in walls, foundations, or insulation. They may also contaminate food supplies and surfaces, leading to hygiene concerns in both residential and commercial settings. Effective extermination services help mitigate these problems by reducing ant populations and discouraging their return, thereby maintaining a cleaner and healthier environment.

Properties that commonly utilize ants extermination services include homes, apartment complexes, restaurants, and retail stores. Residential properties often seek assistance to protect food storage areas and prevent ants from invading living spaces. Commercial establishments, particularly those involved in food preparation and service, prioritize pest control to meet health regulations and ensure customer satisfaction. Additionally, property managers and landlords may engage pest control providers to maintain the integrity and appeal of their buildings.

Ants extermination services are suitable for a variety of property types across areas like Waxahachie, TX, and neighboring communities. Whether dealing with a small kitchen invasion or a widespread outdoor colony, local pest control professionals can tailor treatments to the specific needs of each property. Regular inspections and targeted treatments help maintain pest-free environments, ensuring that properties remain safe and comfortable for residents, employees, and visitors alike.

The overview below groups typical Ants Extermination Service projects into broad ranges so you can see how smaller, mid-sized, and larger jobs often compare in Waxahachie, TX.

In many markets, a large share of routine jobs stays in the lower and middle ranges, while only a smaller percentage of projects moves into the highest bands when the work is more complex or site conditions are harder than average.

Initial Inspection Cost - Typically, a professional ant extermination service charges between $75 and $150 for an initial inspection. This fee covers identifying the extent of the infestation and planning treatment options.

Treatment Service Pricing - The cost for ant extermination treatments generally ranges from $150 to $300 per application. Prices vary based on the size of the property and the severity of the ant problem.

Bulk Treatment Packages - For ongoing or multiple treatments, service providers may offer packages costing between $250 and $600. These packages often include follow-up visits to ensure complete eradication.

Additional Services and Costs - Extra services such as perimeter treatments or bait station installations can add $50 to $200 to the overall cost. The final price depends on the specific needs and property size.

Actual totals will depend on details like access to the work area, the scope of the project, and the materials selected, so use these as general starting points rather than exact figures.

Get an Ants Extermination Service Quote

Ants Extermination services connect homeowners with local pest control professionals experienced in eliminating ant infestations. These experts provide targeted treatments to address common household ant problems effectively.

Residential Ant Control focuses on removing ants from homes and living spaces, helping to create a pest-free environment for families and residents. Local service providers offer tailored solutions for different types of ant species.

Commercial Ant Extermination services assist businesses in maintaining pest-free workplaces by providing specialized ant control treatments suited to commercial properties. Local pros ensure minimal disruption during treatment processes.

Emergency Ant Removal services are available for urgent situations where ant infestations require immediate attention. Local pest control providers respond promptly to help manage unexpected ant problems.

Pre-Construction Ant Prevention services involve applying treatments to prevent ant infestations before construction or renovation projects begin. Local experts offer advice and solutions to protect new or existing structures.

Wildlife and Nuisance Ant Services include addressing ant problems that extend into outdoor areas or involve nuisance species. Local pros tailor treatments to manage outdoor ant colonies and prevent re-infestation.

Ants Extermination Service

When comparing local ant extermination service providers, experience is an important factor to consider. Pros with a history of handling ant infestations in areas similar to Waxahachie, TX, often bring valuable insights and effective strategies to the job. It’s helpful to review the backgrounds of different providers to understand their familiarity with local ant species and common challenges in the region, which can influence the quality of service offered.

Clear written expectations are essential for a smooth service experience. Reputable local pros typically provide detailed descriptions of their treatment methods, what homeowners can expect during and after the service, and any recommended follow-up steps. Having this information in writing helps ensure transparency and allows homeowners to make informed decisions about which provider aligns with their needs.

Reputable references and good communication are key indicators of trustworthy service providers. Local pros with positive references from previous clients can offer insights into their reliability, professionalism, and effectiveness. Additionally, open and responsive communication from the provider can help clarify questions, set appropriate expectations, and foster a smooth service process. It’s important for homeowners to evaluate how well a prospective provider communicates and whether they have a history of satisfied clients in the community.

Get an Ants Extermination Service Quote

Property owners in Waxahachie, TX use Ants Extermination Service services for practical projects around their homes and businesses. The sections below highlight everyday jobs and straightforward project options.

Ants Extermination Service
Ants Extermination Service

Ants extermination services are often sought by property owners in Waxahachie, TX, when they notice signs of an ant infestation around their homes or businesses. Common situations include finding trails of ants in kitchens, bathrooms, or other areas where food is stored or prepared. Property owners might also seek assistance after discovering ant mounds outdoors that could eventually lead to indoor invasions, or when they observe increased ant activity during warmer months.

Many property owners look for ant extermination services to address ongoing or recurring problems that disrupt daily routines or compromise cleanliness. Infestations can be a nuisance, especially when ants invade food supplies or interfere with outdoor activities. Local service providers can help identify the source of the problem and implement targeted solutions to manage and prevent future ant issues around residential or commercial properties.

Get an Ants Extermination Service Quote

How do ant extermination services work? Ant extermination services typically involve inspecting the property to identify ant species and entry points, followed by targeted treatments using baits, sprays, or dusts to eliminate colonies and prevent future infestations.

Are ant extermination treatments safe for pets and children? Most professional ant treatments are designed to be safe when applied by experienced technicians, but it is recommended to follow specific safety instructions provided by the service provider to ensure safety for pets and children.

How long does an ant extermination treatment last? The duration of effectiveness varies depending on the treatment method and extent of the infestation, but many treatments provide several months of protection against ants.

Can ant extermination services prevent future infestations? Yes, professional services often include recommendations and treatments aimed at reducing the likelihood of future ant problems by addressing entry points and removing attractants.

How do I prepare my home before an ant extermination service? Preparation may include cleaning the affected areas, removing food and water sources, and clearing clutter to allow technicians access to problem spots; specific instructions can be provided by the service provider.

Ants Extermination Solutions - Local pest control providers offer targeted treatments to eliminate ant colonies effectively.

Inspection & Identification - Professionals can identify ant species and determine the best approach for removal.

Preventive Treatments - Service providers can apply barrier methods to help prevent future ant infestations.

Ongoing Monitoring - Experts can establish monitoring plans to ensure ants do not return after initial treatment.

Ants Extermination Service

Considering Ants Extermination Service for a property in Waxahachie, TX? The sections above highlight common project types, practical options, and details that often shape the scope of work.

When you are ready, use the quote form to share a few details about your project. Local pros can review the basics and respond with options that match what you have in mind.

Get an Ants Extermination Service Quote

Ants Extermination Quotes

Our Trusted Partners
Cantu Pest Control
Orkin
Hawx Pest Control