Local Service Overview

Get Ants Extermination Service in Grapevine, TX

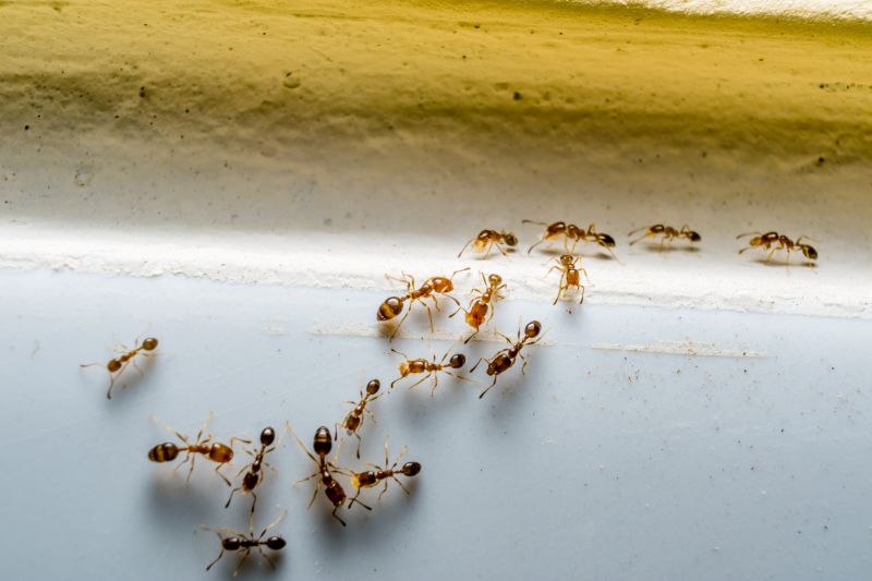
Ants extermination services for property owners in Grapevine, TX, and nearby areas address ant infestations, including removal, prevention, and treatment for residential and commercial properties.

Grapevine, TX

Ants extermination services provide property owners in Grapevine, TX with an effective solution to prevent and eliminate ant infestations. By addressing these pests promptly, homeowners can enjoy a more comfortable living environment free from the nuisance and potential damage caused by ants. Proper pest control helps maintain the safety and functionality of a property, reducing the risk of structural harm and contamination that ants can bring.

Engaging professional extermination services also offers benefits related to curb appeal and durability. A pest-free property looks more inviting and well-maintained, which can enhance overall aesthetic value. Additionally, regular pest management can lead to reduced maintenance needs over time, helping to preserve the property's condition and appearance for years to come.

Get Ants Extermination Service Quotes

  • Ants Extermination - needed when ants invade kitchens, bathrooms, or other indoor spaces in residential or commercial properties.
  • Ants Extermination - required if ant colonies are found outdoors around yards, gardens, or building foundations in nearby neighborhoods.
  • Ants Extermination - necessary when ant trails or mounds are visible on the property, indicating an active infestation.
  • Ants Extermination - sought after when ants are causing damage to plants, structures, or stored goods in local areas.
  • Ants Extermination - appropriate if ants are difficult to eliminate with DIY methods and require professional treatment solutions.

Get Ants Extermination Service Quotes

Ants Extermination Service
Ants Extermination Service
Ants Extermination Service

Ants extermination services involve identifying and eliminating ant infestations within residential, commercial, or industrial properties. Professionals typically conduct thorough inspections to determine the extent of the problem and locate entry points or nests. Treatment methods may include the application of targeted insecticides, baiting systems, or barriers designed to prevent ants from entering indoor spaces. The goal is to control existing colonies and prevent future invasions, helping property owners maintain a pest-free environment.

Ant infestations can cause various issues, including property damage, contamination of food supplies, and general nuisance. Certain ant species, such as carpenter ants, can compromise structural integrity by hollowing out wood, while others may invade kitchens and pantry areas, contaminating food products. Effective extermination services aim to address these problems by removing colonies and implementing preventative measures to reduce the likelihood of recurring infestations.

These services are commonly utilized across a range of property types, including single-family homes, apartment complexes, restaurants, and retail stores. Residential properties often seek ant extermination to protect food storage and living spaces, while commercial establishments may require regular pest management to comply with health and safety standards. Additionally, property managers and business owners in areas prone to ant activity frequently rely on professional services to maintain a pest-free environment for tenants and customers.

Partnering with local pest control providers ensures that property owners receive tailored solutions suited to their specific needs. These professionals use proven techniques and treatments designed for different property types and ant species. By addressing infestations promptly and effectively, they help minimize property damage, protect food supplies, and reduce the inconvenience caused by ant invasions. Contacting local pros can facilitate a comprehensive approach to ant pest management for any property.

The overview below groups typical Ants Extermination Service projects into broad ranges so you can see how smaller, mid-sized, and larger jobs often compare in Grapevine, TX.

In many markets, a large share of routine jobs stays in the lower and middle ranges, while only a smaller percentage of projects moves into the highest bands when the work is more complex or site conditions are harder than average.

Initial Inspection - Typically costs between $100 and $200 for a thorough assessment of ant activity and entry points. The fee may vary depending on property size and extent of infestation.

One-Time Treatment - The average cost ranges from $150 to $300 for a single application targeting ant colonies. Larger properties or severe infestations may increase the price.

Ongoing Pest Control - Monthly service plans generally cost between $40 and $70 per visit, with quarterly options averaging $100 to $250 per session. Prices depend on the level of service and property size.

Emergency or Spot Treatments - Single-use treatments can range from $80 to $200, often used for immediate response to active ant problems. Costs vary based on the treatment method and infestation severity.

Actual totals will depend on details like access to the work area, the scope of the project, and the materials selected, so use these as general starting points rather than exact figures.

Get an Ants Extermination Service Quote

Ants Extermination services connect homeowners with local pest control providers experienced in eliminating ant infestations. These professionals assess the extent of the problem and implement targeted treatment solutions.

Commercial Ants Control services help business owners manage ant issues in retail spaces, restaurants, and offices through effective and safe extermination methods. Local providers offer customized plans to suit different commercial environments.

Residential Ants Removal services assist homeowners in eradicating ants from homes and yards, ensuring a pest-free living space. Local pest control experts utilize proven techniques to address ant problems effectively.

Emergency Ants Treatment services provide quick response options for urgent ant infestations that require immediate attention. Local service providers are available to address unexpected pest emergencies promptly.

Natural Ants Control services involve the use of environmentally friendly methods to control ant populations without the use of harsh chemicals. Local pros can recommend and apply these alternative solutions.

Ants Prevention Services focus on strategies to prevent future ant invasions through barrier treatments and habitat modification. Local providers offer ongoing maintenance plans to keep properties ant-free.

Ants Extermination Service

When choosing a professional for ant extermination services, it is important to consider the experience of local contractors. Established providers often have a history of handling ant infestations similar to those in Grapevine, TX, and surrounding areas. Reviewing how long a service provider has been operating and their familiarity with local pest issues can help gauge their ability to effectively address the problem. Additionally, reputable references or reviews from previous clients can offer insights into their reliability and quality of work.

Clear communication and written expectations are essential when engaging with pest control providers. A professional should be able to outline the scope of services, what treatments will be used, and any necessary follow-up procedures in a transparent manner. This helps ensure that homeowners understand what to expect and can make informed decisions. Having detailed, written information also provides a record of the agreed-upon work, reducing potential misunderstandings.

Reputable references and strong communication are key indicators of a trustworthy local pest control provider. Homeowners are encouraged to seek out service providers who can offer verified references or testimonials from past clients. Open and responsive communication throughout the process can help address questions or concerns promptly. While the information below introduces local options, it is important to contact individual contractors directly to assess their reputation and how well they communicate to find the best fit for ant extermination needs.

Get an Ants Extermination Service Quote

Property owners in Grapevine, TX use Ants Extermination Service services for practical projects around their homes and businesses. The sections below highlight everyday jobs and straightforward project options.

Ants Extermination Service
Ants Extermination Service

Ants extermination services are commonly sought by property owners in Grapevine, TX, facing persistent ant infestations that disrupt daily living or compromise the comfort of their homes. Whether ants are invading kitchens, pantry areas, or outdoor spaces, local service providers can assist in identifying the source of the problem and implementing targeted treatment solutions. Property owners often look for professional help to effectively eliminate ant colonies and prevent future re-infestations, especially when DIY methods have proven ineffective.

In addition to indoor concerns, outdoor ant issues such as mounds or trails around the yard can also prompt property owners to seek extermination services. These pests can pose challenges for outdoor activities and may attract other unwanted insects or animals. Local pros can evaluate the extent of the problem and recommend appropriate treatment options to help maintain a pest-free environment around homes and businesses in Grapevine, TX.

Get an Ants Extermination Service Quote

How do ant extermination services work? Ant extermination services typically involve inspecting the property to identify ant colonies, applying targeted treatments to eliminate nests, and providing recommendations to prevent future infestations.

Are ant treatments safe for pets and children? Many ant extermination methods are designed to be safe for households, but it’s advisable to discuss concerns with local service providers to ensure appropriate products are used.

How long does an ant extermination treatment last? The duration of effectiveness varies depending on the treatment method and extent of the infestation; local pros can provide guidance based on specific situations.

Is ongoing maintenance necessary after ant treatment? Some cases may require follow-up treatments or preventative measures, which local service providers can recommend based on the severity of the ant problem.

How can I prevent future ant infestations? Preventative strategies include sealing entry points, maintaining cleanliness, and consulting with local extermination professionals for tailored advice.

Ants Identification and Inspection - Professionals can assess the extent of ant infestations and identify the species involved to determine the most effective treatment approach.

Targeted Ant Treatments - Local service providers offer tailored solutions such as baiting and residual sprays to eliminate ants from residential and commercial properties.

Preventive Ant Control Strategies - Experts can implement barrier methods and exclusion techniques to reduce the likelihood of future ant invasions.

Ongoing Monitoring and Maintenance - Service providers can establish regular inspections to ensure ant issues are managed and do not recur.

Ants Extermination Service

Considering Ants Extermination Service for a property in Grapevine, TX? The sections above highlight common project types, practical options, and details that often shape the scope of work.

When you are ready, use the quote form to share a few details about your project. Local pros can review the basics and respond with options that match what you have in mind.

Get an Ants Extermination Service Quote

Ants Extermination Quotes

Our Trusted Partners
Cantu Pest Control
Orkin
Hawx Pest Control